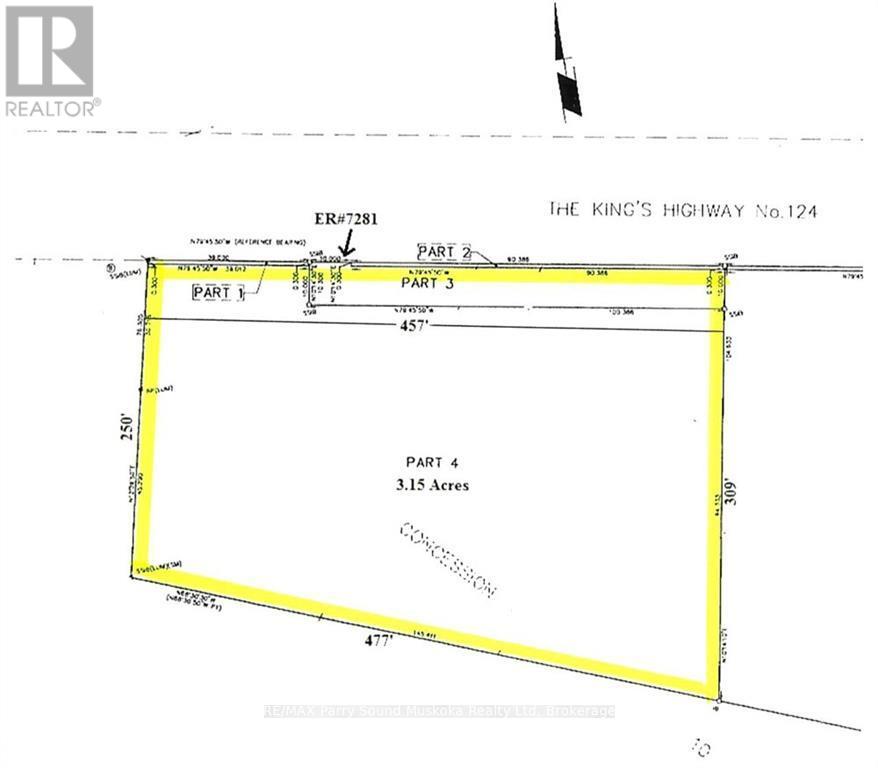
7281 Highway 124 Whitestone, Ontario P0G 1G0

Acreage

$240,000

A beautiful, 6 acres of privacy in Whitestone/Dunchurch, located off a year-round municipal road/Highway 124. With quick access to hop on the road to work, schools, shopping, community centre, nursing station, beach, boat launch and multiple lakes in the area. The 6 acres consist of two separate 3 acre lots with individual pins for even more potential. Making this one large, private paradise property or even a family compound. 913 feet of road frontage. Entrance in, well treed and perched on a Hill to give a fabulous view. Just a short drive or a walk to the town of Dunchurch to go for a swim or keep your boat at the marina and save on waterfront property taxes. Purchase as 6 acres or individual 3 acre lots which are also listed. This is a great opportunity for you and your family to live, work and play in the cottage country dream and build it the way you dream it! Click on the media arrow for the video. (id:14494)

Property Details

MLS® Number X12055457
Property Type Vacant Land
Community Name Dunchurch

Building

Parking

No Garage

Land

Acreage Yes
Size Depth 104 Ft ,1 In
Size Frontage 913 Ft
Size Irregular 913 X 104.16 Ft
Size Total Text 913 X 104.16 Ft|2 - 4.99 Acres
Zoning Description Ru7

https://www.realtor.ca/real-estate/28105620/7281-highway-124-whitestone-dunchurch-dunchurch

Danielle Beitz
Broker

(705) 746-9336

RE/MAX Parry Sound Muskoka Realty Ltd
47 James Street
Parry Sound, Ontario P2A 1T6

(705) 746-9336
(705) 746-5176