0 Ritchie Drive Carling, Ontario P0G 1G0

2.01 Acres

$79,900

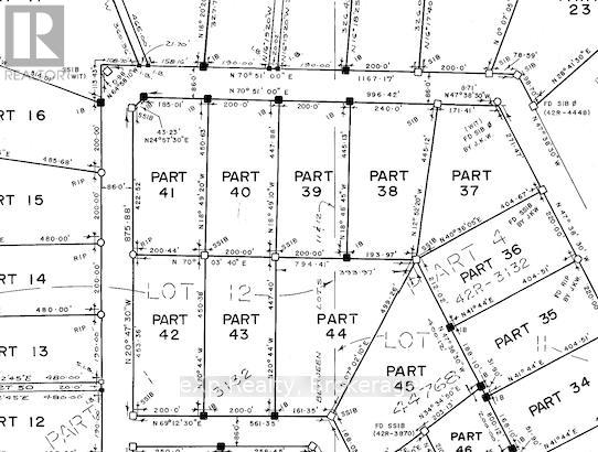
HERE IS YOUR OPPORTUNITY TO GROW IN THE NORTH! THIS M1 ZONED LOT OFFERS 200 FEET of FRONTAGE on just over 2 ACRES. Located in the PARRY SOUND AREA INDUSTRIAL PARK, allowing for development in multiple sectors. This lot is NOW FULLY SERVICED with water and sewer at the lot line. The current owner has cleared the lot, so it is a blank canvas for you to begin building your vision. Located adjacent to the TRANS-CANADA HIGHWAY means easy access to Toronto or Sudbury and the rest of Canada. The progressive Town of Parry Sound is a short 15-minute drive for added convenience. There is a requirement that landowners develop their lot within 2 years of purchase. Please visit psaip.ca for all the information you need to make your business dream a reality! Location qualifies for some Northern Ontario funding opportunities! (id:14494)

Property Details

MLS® Number X12000894
Property Type Vacant Land
Community Name Carling
Amenities Near By Highway

Building

Size Interior 2.01 Acres
Utility Water Municipal Water

Land

Acreage No
Land Amenities Highway
Sewer Sanitary Sewer
Size Depth 447 Ft
Size Frontage 201 Ft ,3 In
Size Irregular 201.32 X 447 Ft
Size Total Text 201.32 X 447 Ft
Zoning Description Industrial/commercial

https://www.realtor.ca/real-estate/27981543/0-ritchie-drive-carling-carling

Trina Papalia
Salesperson

(705) 773-2358
(647) 849-3180

Exp Realty
7 William Street, Suite #2
Parry Sound, Ontario P2A 1V2

(866) 530-7737
(647) 849-3180
allpointsnorth.ca/